Hírek
2013. Április 11. 09:31, csütörtök |
Helyi
Forrás: Baranya Megyei Rendőr-főkapitányság
Vezetni biztonsággal
Az első fordulóval beindul a Pécs Városi Baleset-megelőzési Bizottság és a Pécs-Baranya Közbiztonsági Alapítvány „Vezetni Biztonsággal” négy fordulós vetélkedősorozata.

A vetélkedő lényege, a közlekedők figyelmét ráirányítsa a balesetek kiszámíthatatlanságára, a baleseti okokra.
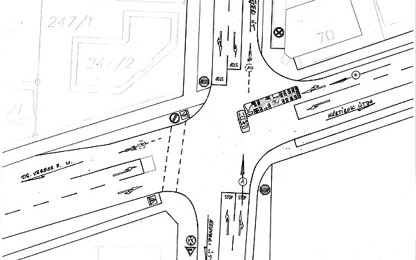
Minden forduló egy baleseti szituációt jelenít meg. A vetélkedőben részt vevő személy feladata a felvázolt közlekedési szituációk értelmezését követően válaszolni a feltett kérdésekre.
A fordulók végén a helyes megfejtők között három - három ajándékcsomagot sorsolunk ki. Aki mind a négy fordulóra beküldi a helyes megfejtést, azok között is kisorsolunk három értékes ajándékcsomagot.
„A” személygépkocsi közlekedett Pécsett a Megyeri úton, a Verseny utca irányából a József Attila út irányába. Haladása során a Mártírok úti kereszteződésbe behajtva a gépkocsi elejével nekiütközött a tőle jobbról érkező, a Mártírok útján a Dr. Veress E. u. irányába közlekedő Busz elejének.

Ki volt és milyen szabályt hagyott figyelmen kívül a baleset okozója?
A balesettel érintett járművezetőnek milyen kötelezettségei vannak?
A válaszokat kérjük 2013. április 18. (csütörtök) 12,00 óráig beküldeni a Pécs Városi Baleset-megelőzési Bizottság címére: 7622 Pécs, Vargha D. u. 3., vagy a gradvolts@baranya.police.hu címre. A megfejtésen kérjük feltüntetni: „Vezetni biztonsággal” I. forduló.
Ezek érdekelhetnek még
2025. December 05. 00:00, péntek | Helyi
Együtt a dombóvári Platán Otthonért – Hálás köszönet a támogatóknak!
2025. november 8-án az MMSZ Esterházy Miklós Technikum sportcsarnoka adott otthont a Magyar Máltai Szeretetszolgálat Gondviselés Háza Platán Otthon jótékonysági báljának.
2025. December 04. 00:00, csütörtök | Helyi
Karácsonyi varázslat a dombóvári BestByte-ban – készülj a meglepikre!
Tedd felejthetetlenné az idei karácsonyt – brutális BestByte akciók indulnak Dombóváron december 5-től!
2025. December 03. 11:15, szerda | Helyi
Egy álom beteljesülése, arany- és ezüstérmek Dombóvár büszkeségének!
Horváth Eszter tündöklése a nemzetközi porondon
2025. December 02. 19:55, kedd | Helyi
Kettős jubileum Dombóváron: 70 éves a Kapos Táncegyüttes, 20 éves a Kosársuli
A jubileumi rendezvények méltóképpen adóztak mindazok előtt, akik hozzájárultak e két meghatározó helyi érték fennmaradásához és fejlődéséhez.

